Uragan Erin pretvara se u čudovište koje preti istočnoj obali SAD!
Talasi visoki kao zgrade već jure ka obali, a vlasti u pojedinim američkim državama proglasile su vanredno stanje i naredile evakuaciju.
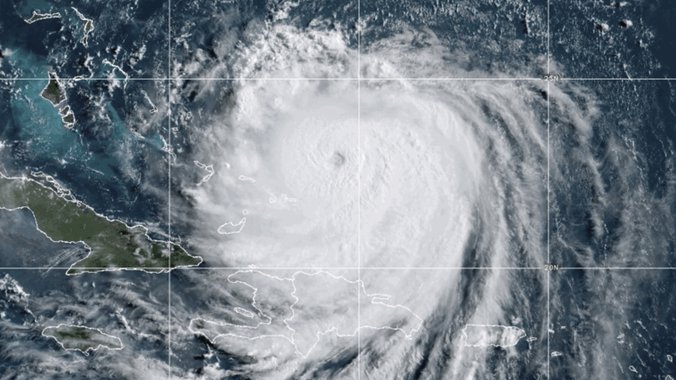
Erin, prvi veliki atlantski uragan u sezoni 2025, tokom vikenda je naglo ojačao i u subotu dostigao kategoriju 5, najvišu na Safir-Simpsonovoj skali. Iako je potom kratko oslabio, sada se ponovo nalazi u četvrtoj kategoriji, sa vetrovima brzine oko 218 km/h, prenosi Live Science.
Foto: Tanjug AP/WVEC-TV via AP
Trenutno se Erin nalazi istočno od Bahama, a prema najnovijim prognozama kretaće se između Bermuda i američke istočne obale. Iako se ne očekuje direktan udar u kopno, stručnjaci upozoravaju na talase preko 30 metara, razorne okeanske struje i opasnost od katastrofalnih poplava.
Unbelievable footage from NOAA’s Hurricane Hunters inside the eye of Hurricane Erin.
— Nahel Belgherze (@WxNB_) 16. август 2025.
Simply incredible. pic.twitter.com/3pTiNI6mpX
Ostrva u Severnoj Karolini već su pod evakuacijom, a Nacionalna meteorološka služba izdala je upozorenje za obalu, upozoravajući građane da izbegavaju priobalne oblasti.
“Najnovija prognoza pokazuje da bi pojedini talasi mogli biti visoki preko 30 metara”, izjavio je Žan Bidlot iz Evropskog centra za srednjoročne vremenske prognoze za Newsweek.
Foto: Tanjug AP/WVEC-TV via AP
Okeanski uslovi opasni po život proširiće se i na Bahame, Bermude, istočnu obalu SAD i atlantske provincije Kanade. Uragan Erin se već sada svrstava među najbrže jačajuće oluje u istoriji Atlantika, jer je za samo 24 sata prešao iz prve u petu kategoriju!
Meteorolozi upozoravaju da su klimatske promene glavni uzrok sve češćih "eksplozivnih" jačanja uragana, zbog rekordno visokih temperatura okeana koje dodatno hrane oluje.
Erin, koji zahvata oblast široku čak 370 kilometara, ostaće “veliki i opasan uragan” najmanje do sredine nedelje, navodi NHC.
Spektakularni snimci iz "oka oluje", koje su zabeležili legendarni "lovci na uragane", preplavili su društvene mreže – video već broji milione pregleda.
Uragan kategorije 4 znači samo jedno – potencijal za katastrofalnu štetu, uništenu infrastrukturu i ugrožene živote. Vlasti apeluju na građane da se pridržavaju uputstava i ostanu na sigurnom.
Autor: Dalibor Stankov