Fenomen "La Ninja" je zvanično stigao, saopštili su u četvrtak, 9. oktobra, savezni meteorolozi iz Centra za klimatske prognoze (Climate Prediction Center) u SAD.
"Uslovi La Ninje pojavili su se u septembru 2025. godine, što potvrđuje širenje ispodprosečnih temperatura površine mora u centralnom i istočnom delu ekvatorijalnog Tihog okeana“, navodi se u saopštenju centra.
Što se tiče trajanja ovog fenomena, "uslovi La Ninje će, po svemu sudeći, potrajati do februara 2026. godine", dodaje se u saopštenju, prenosi "USA Today".
Meteorolozi kažu da bi ova "La Ninja" mogla da utiče na završnicu sezone uragana 2025. godine, ali i na vremenske prilike tokom jeseni i zime u Sjedinjenim Državama.
Šta je "La Ninja"?
"La Ninja" je deo prirodnog klimatskog ciklusa koji se zvanično naziva "El Ninjo - Južna oscilacija" (El Niño-Southern Oscillation), a naučnici ga skraćeno zovu ENSO. Ovaj ciklus osciluje između toplijih i hladnijih površinskih voda u području duž ekvatora u tropskom Pacifiku. "La Ninju" karakterišu niže od prosečnih temperature okeana u tom regionu.
To je jedan od glavnih faktora koji utiču na vremenske prilike u Sjedinjenim Državama, naročito tokom kasne jeseni, zime i ranog proleća. Ona je suprotnost poznatijem fenomenu "El Ninju", koji se javlja kada su temperature vode u Tihom okeanu najmanje 0,9 stepeni iznad proseka tokom tri uzastopna meseca.
Srednja faza između njih naziva se ENSO-neutralna, kada nisu prisutni ni "La Ninju" ni "El Ninjo" uslovi.
Kako bi mogla da utiče na sezonu uragana?
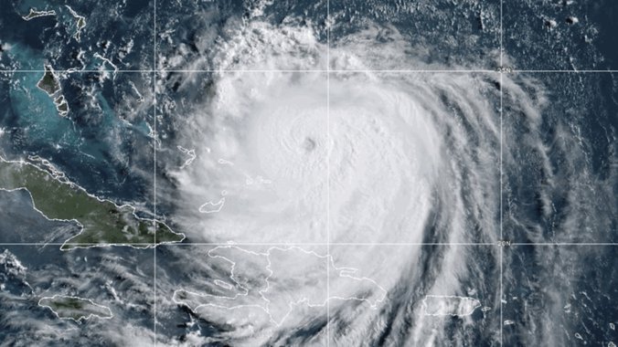
Glavni stručnjak za uragane kompanije "AccuWeather", Aleks da Silva, rekao je u internet prognozi da pojava "La Ninje pogoduje aktivnom završetku sezone uragana".
Do sada, zaključno sa 8. oktobrom, u Atlantiku se formiralo 10 oluja koje su dobile ime, od kojih su četiri bile uragani. Prosečna sezona ima oko 14 imenovanih oluja i sedam uragana.
La Niña has arrived, forecasters say. What does this mean for our weather? - https://t.co/tUKuT2r98C
— DogecoinToday.com (@Dogecointoday_) 09. октобар 2025.
La Niña has officially arrived, federal forecasters from the Climate Prediction Center announced Thursday Oct. 9."La Niña conditions emerged in September 2025, as indicated... pic.twitter.com/fzTMvqTLLP
"Konkretno, tropske oluje u novembru mogle bi da budu pod uticajem La Ninje", rekao je Metju Rozenkrans, glavni sezonski prognozer za uragane u Nacionalnoj okeanografskoj i atmosferskoj administraciji (NOAA).
"Uslovi La Ninje povezani su sa većom aktivnošću (duplo većom) u novembru u poređenju sa ENSO-neutralnim periodima, a naročito u poređenju sa novembrom tokom El Ninjo godina", naveo je on.
Kada dođe do faze "La Ninja", dolazi do manjeg smicanja vetra u regionima atlantskog basena gde se razvija tropsko vreme, što povećava potencijal za više oluja, navodi "AccuWeather".
Kako će ova "La Ninja" uticati na naše zimsko vreme?
Tipična "La Ninja" zima u Sjedinjenim Državama donosi hladnoću i sneg na severozapad i neuobičajeno suve uslove u većini južnih država, prema Centru za predviđanje klime. Jugoistok i srednji Atlantik takođe imaju tendenciju da vide više od prosečnih temperatura tokom "La Ninja" zime.
Na istoku, severna grana mlazne struje ima tendenciju da nosi brže krećuće, manje intenzivne oluje, što može značiti snežne padavine blizu ili čak ispod proseka, sa temperaturama bližim sezonskim normama, dodaje "AccuWeather".
Federalni prognostičari će objaviti zvaničnu zimsku prognozu vlade 16. oktobra.
Zašto je prognoza važna?
"Sezonske prognoze za El Ninjo i La Ninju i njihovi povezani uticaji na naše vreme su važan alat za klimatske obaveštajne podatke", rekla je generalna sekretarka Svetske meteorološke organizacije Selest Saulo.
"One se pretvaraju u milione dolara ekonomskih ušteda za ključne sektore poput poljoprivrede, energetike, zdravstva i transporta i spasile su hiljade života kada se koriste za vođenje akcija pripravnosti i reagovanja", zaključila je ona.
Autor: Marija Radić